犬の歯周病治療と歯科レントゲン【症例紹介】
こんにちは。
サークルどうぶつ病院五条 院長の小川修平です。
最近は寒い日が多くなってきました。
非常に体調を崩しやすい時期なので、わんちゃん猫ちゃんはもちろん人間も風邪をひかないように充分気をつけて過ごしていきたいですね!
さて本日も犬の歯周病と歯科レントゲンについての記事を更新します。
歯周病は3歳の犬の約8割が何らかの歯周病を有していると報告があるように、本当にどんな子にも他人事ではない身近な病気です。
しかも、進行してしまうと他の病気の原因になったり、顎の骨が溶けてしまうようなとても怖い感染症です。
今回は実際に歯科処置を頑張ってくれた子の画像を元に
歯周病の怖さや歯科レントゲンの重要性、治療方法をお伝えいたします。
※処置中や処置後の口の中の写真が掲載されます。
苦手な方はお気をつけください。
処置前の状態
今回は11歳のトイプードルさんがご相談に来られました。
食欲や元気には変わりは無いが、口臭が気になられるとのことと、固いものを食べなくなってきているとのことでした。視診では、
・歯石の重度付着
・歯肉の赤み
が確認できました。


実際の麻酔中に観察した口の状態です。
左右ともに重度の歯石付着と歯肉の赤みを認めました。
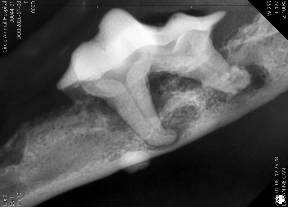
歯科レントゲンで分かる歯根部の状態
そして続いての歯科処置の行程としては
・プロービング(歯周ポケットと呼ばれる部分の深さの測定)
・歯肉からの出血の有無確認
・根分岐部病変の検査
・歯の動揺の検査(歯がぐらつくかどうか)
などを実施します。
その後に、歯科レントゲンを撮影し、肉眼では見えない歯の根っこの部分を評価します。

レントゲンでは、
・歯を支える骨(歯槽骨)が大きく溶けている
・歯根の周囲に炎症が広がっている
状態が確認されました。
見た目以上に、歯周病は深く進行していました。

特に右下顎の歯根部では下顎骨がかなり溶けてしまっており、骨折する可能性がある状態でした。
実際の処置内容|抜歯はこうやって行います
今回は、進行した歯周病により、
複数本の抜歯処置を行いました。抜歯と聞くと、
「かわいそう」「痛そう」
というイメージを持たれがちですが、実際には、
・全身麻酔下で
・適切な痛み止めと局所麻酔により痛みを最小限に抑え
して行います。今回のわんちゃんはかなり重度の歯周病でしたので
歯肉を切開したりせず、かなり順調に抜けてくれました。
ただ、それだけスポスポと抜けるということは
歯根部での炎症もそれだけ強かったということで
抜歯がメインとなりました。
処置後の口腔内と経過
処置後の口腔内がこちらです。

今回のわんちゃんは抜歯後も涎が出たり口を痛がる様子も無く帰宅していきました!
歯科処置や抜歯を行うと、多くの飼い主さんが、
「もっと早くやってあげればよかった」
とおっしゃられます。
そして、歯科処置前よりも元気になったり食欲がでる子も多いです。今回の子もきっと前よりも元気にご飯を食べてくれるのではないかと想像しています。
なぜ歯周病はここまで進むのか
犬の歯周病は、
3歳以上の犬の約8割で発症していると言われています。・痛みを我慢してしまう
・歯周病があっても食事を食べれてしまう
・外からは見えにくいその結果、
気づいたときには重度
というケースが少なくありません。
だから歯科検診が大事です
歯周病は、
・早期なら「守れる歯」
・進行すると「抜くしかない歯」
になります。見た目だけでは判断できないからこそ、
普段の診察での歯のチェックとホームケアのお伝え+必要に応じて麻酔や鎮静での歯科レントゲンが重要です。「今すぐ処置が必要か分からない」
「うちの子は大丈夫?」その確認だけでも構いません。
気になる方は、お気軽にご相談ください。
サークルどうぶつ病院五条
院長 小川 修平


